Public Hearing for Land Use Bylaw Amendment - Redistricting - Copperhaven Stage 14

Bylaw C-1420-25

  • Council Chambers, Third Floor, City Hall
  • 315 Jespersen Ave.
  • Spruce Grove, Alberta
    • Monday, February 23, 2026
    • 6:00 PM

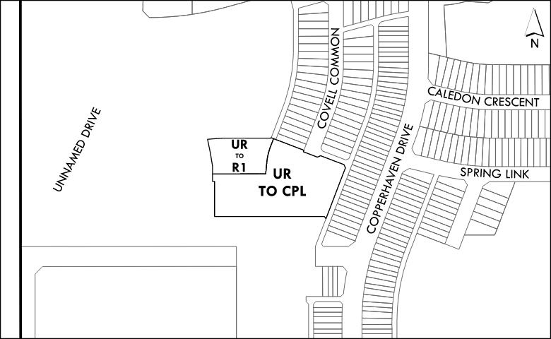
It is City Council’s intention to hold a Public Hearing as part of their consideration of Bylaw C-1420-25, a proposed Land Use Bylaw amendment to redistrict approximately 1.29 ha of part of Lot 4, Block 1, Plan 052 2540 from UR - Urban Reserve District to R1– Mixed Low to Medium Density Residential District and CPL - Copperhaven Planned Lot District. The proposed redistricting will enable the development of Copperhaven Stage 14.

Maps 

Click the thumbnail to view a larger version.

Representation

If you or someone you represent is affected by the proposed bylaw, you may address Council at the public hearing by attending the meeting in-person or by participating virtually. The Public Hearing is to be held:

Monday, February 23, 2026 at 6 p.m.
Council Chambers, City Hall
315 Jespersen Avenue

Participating virtually

Persons who wish to attend virtually, can either verbally speak or submit a question or statement to Council by email until the Public Hearing is closed. To arrange to verbally speak virtually you must pre-register with the City Clerk by Monday, February 23, 2026 at 12 p.m. by email or by calling 780-962-7615

To provide an emailed question or statement you may email it until the Public Hearing is closed. Only one email per person is permitted. 

Details will be provided after registration is complete. You will also be able to watch the public hearing online.

Participating in-person

Persons who wish to address Council in-person are not required to register to speak. Speakers will be limited to 5 minutes and permitted to speak only once. 

Written submissions

Written submissions will be received by the City Clerk by mail at City Hall, 315 Jespersen Avenue, Spruce Grove, AB, T7X 3E8, or by email, until noon on Wednesday, February 18, 2026. These must be signed, dated, and contain your civic address. Written submissions received by this date/time will be included as part of the council meeting agenda package.

Copies of the proposed bylaw amendment(s) are available upon request from the Planning and Development Department by calling or emailing the case planner as noted below.

Questions?

Please call Jaymeson Denboer, Development Planner II, at 780-962-7634 ext. 212 or by sending an email.